kraut_ruebe 3.0 – dirty girls minifarm

Diese Rubrik ist für Blogging-Threads gedacht, in denen Ihr über den Fortgang Eurer Selbstversorger-Projekte berichten könnt.
Bitte beachten: Kopien forenexterner Blogs sowie Linksetzen zur SEO derselben sind hier nicht erwünscht!
Benutzeravatar
kraut_ruebe
Förderer 2019
Förderer 2019
Beiträge: 10832
Registriert: Di 3. Aug 2010, 09:48
Wohnort: Klimazone 7b - pannonisches Klima

Re: kraut_ruebe 3.0 – dirty girls minifarm

#471

Beitrag von kraut_ruebe » So 16. Aug 2015, 18:23

die ersten kidneybohnen sind durchgetrocknet und geerntet.

scheint nicht überall so einfach zu sein, aber bei mir haben sich die als unkompliziert erwiesen. mitte mai hab ich die gesteckt und dann nix mehr gemacht damit. jetzt sind sie fertig:
kidneys.jpg
kidneys.jpg (64.05 KiB) 3537 mal betrachtet
There's a crack in everything. That's how the light gets in.

Benutzeravatar
kraut_ruebe
Förderer 2019
Förderer 2019
Beiträge: 10832
Registriert: Di 3. Aug 2010, 09:48
Wohnort: Klimazone 7b - pannonisches Klima

Re: kraut_ruebe 3.0 – dirty girls minifarm

#472

Beitrag von kraut_ruebe » Mi 26. Aug 2015, 15:18

die ölweiden machen sich schön lansgam, inzwischen merkt man endlich ein bisschen was davon, dass die jahre ins land ziehen.

die beerenfrüchtigen ölweiden (e. multiflora) sind heuer voll mit früchten. vielleicht werdens sogar genug um die ölpresse anzuwerfen:
ölweidenbeeren.jpg
ölweidenbeeren.jpg (70.46 KiB) 3452 mal betrachtet
die russische olive (schmalblättrige ölweide) trägt heuer zum ersten mal, und das gleich über und über voll. ob sie wirklich als olivenersatz taugen wird sich dann im spätherbst weisen:
russische olive.jpg
russische olive.jpg (61.41 KiB) 3452 mal betrachtet
There's a crack in everything. That's how the light gets in.

Benutzeravatar
kraut_ruebe
Förderer 2019
Förderer 2019
Beiträge: 10832
Registriert: Di 3. Aug 2010, 09:48
Wohnort: Klimazone 7b - pannonisches Klima

Re: kraut_ruebe 3.0 – dirty girls minifarm

#473

Beitrag von kraut_ruebe » Do 27. Aug 2015, 22:09

so wird das hier hoffentlich auch mal aus eigenbestand aussehen :)

heuer hab ich zwei feigen, die schon bald reif sein werden, und dazu gibts noch ein paar noch kleine, die einen langen schönen herbst brauchen würden. einstweilen hilft mir eine kundin über die runden und hat mir was von ihren abgetreten:
feigen.jpg
feigen.jpg (53.74 KiB) 3399 mal betrachtet
There's a crack in everything. That's how the light gets in.

Benutzer 3370 gelöscht

Re: kraut_ruebe 3.0 – dirty girls minifarm

#474

Beitrag von Benutzer 3370 gelöscht » Do 27. Aug 2015, 22:26

Bei den zwei fast reifen Feigen warten bis sie ganz weich sind und beim Pflücken der Stiel ohne Wuchsansatz bricht, dann sind sie auch sicher super lecker. Die kleinen Feigen werden nix mehr :ohoh: dafür müsste ein super Herbst bis Jänner dauern.

Benutzeravatar
kraut_ruebe
Förderer 2019
Förderer 2019
Beiträge: 10832
Registriert: Di 3. Aug 2010, 09:48
Wohnort: Klimazone 7b - pannonisches Klima

Re: kraut_ruebe 3.0 – dirty girls minifarm

#475

Beitrag von kraut_ruebe » Fr 28. Aug 2015, 20:04

die kleinen sind grad so halb. mal sehen, was das noch wird heuer :)
There's a crack in everything. That's how the light gets in.

mgrie
Beiträge: 177
Registriert: Do 23. Okt 2014, 19:30
Familienstand: glücklich verheiratet
Wohnort: Wildeshausen / Klimazone 7b
Kontaktdaten:

Re: kraut_ruebe 3.0 – dirty girls minifarm

#476

Beitrag von mgrie » So 30. Aug 2015, 00:53

RichardBurgenlandler hat geschrieben:dafür müsste ein super Herbst bis Jänner dauern.
So wie der April, von März bis Juni? :pfeif:
Der Ostfriese ist zufrieden, wenn sein Land Ertrag abwirft, und seine Freiheit geachtet wird.

Benutzeravatar
kraut_ruebe
Förderer 2019
Förderer 2019
Beiträge: 10832
Registriert: Di 3. Aug 2010, 09:48
Wohnort: Klimazone 7b - pannonisches Klima

Re: kraut_ruebe 3.0 – dirty girls minifarm

#477

Beitrag von kraut_ruebe » Do 3. Sep 2015, 09:12

wenn mika zu besuch war, hab ich danach immer viel zu tun :)

mikas lösungsvorschlag für mein problem mit dem unwillen des hopfens, das dach des cuygeheges zu beschatten, hat wunderbar funktioniert. die gespannten schnüre wurden willig angenommen:
hopfenschnur.JPG
hopfenschnur.JPG (54.28 KiB) 3184 mal betrachtet
hopfendach.JPG
hopfendach.JPG (97.99 KiB) 3184 mal betrachtet
There's a crack in everything. That's how the light gets in.

Benutzeravatar
Mika
Beiträge: 1097
Registriert: Fr 11. Jul 2014, 16:28

Re: kraut_ruebe 3.0 – dirty girls minifarm

#478

Beitrag von Mika » Do 3. Sep 2015, 17:05

Wow! Ist ja toll, daß das so gut geklappt hat. :daumen:
Wenn Ich Dir immer so viel Arbeit mache komme ich nimmer sooft...sorry :rot:

Nachtrag: hast Du auch das Manderl zum Hopfen?

Benutzeravatar
kraut_ruebe
Förderer 2019
Förderer 2019
Beiträge: 10832
Registriert: Di 3. Aug 2010, 09:48
Wohnort: Klimazone 7b - pannonisches Klima

Re: kraut_ruebe 3.0 – dirty girls minifarm

#479

Beitrag von kraut_ruebe » Do 3. Sep 2015, 17:57

nein, nein. komm nur :)

muss ja eh gemacht werden alles, und ist auch immer hilfreich :)

ich hab im moment 2 w. brauhopfen, und so ca 10 normale hopfen. ein normaler ist ein manderl, der hat grad so sternderln, ein paar normale sind weiblich. und ein paar sind noch kids, die haben noch keine blüten.

sollt der eine männliche sich als einziger herausstellen, dann kriegt er noch nen bruder. gibt noch platz :)
There's a crack in everything. That's how the light gets in.

Benutzeravatar
kraut_ruebe
Förderer 2019
Förderer 2019
Beiträge: 10832
Registriert: Di 3. Aug 2010, 09:48
Wohnort: Klimazone 7b - pannonisches Klima

Re: kraut_ruebe 3.0 – dirty girls minifarm

#480

Beitrag von kraut_ruebe » Do 3. Sep 2015, 20:14

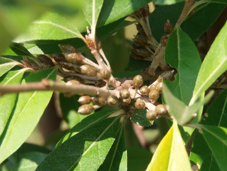
nur weil die zapfen so niedlich sind, noch einen von den brauhopfen:
brauhopfen.JPG
brauhopfen.JPG (67.55 KiB) 3122 mal betrachtet
die beiden edelteile sollen ja möglichst unbefruchtet bleiben und sind auch ein gutes stück vom männlichen entfernt. mal sehen ob das klappt.
There's a crack in everything. That's how the light gets in.

Antworten

Zurück zu „SV-Projekte“